概要及推荐理由
权易汇
临近主干道 临近公交站 住宅 住宅用地 土地 股权 股权转让 近郊
| 交易方式: | 股权转让 |
| 控制权: | 全资或绝对控股 |
| 发展阶段: | 成熟期 |
| 转让/增资的股数: | 股 | 转让/增资的股比: | 99.50% | |
| 财务年度一: | 年 | 财务年度二: | 年 | |
| 总资产一: | 0.00万元 | 总资产二: | 0.00万元 | |
| 净资产一: | 0.00 | 净资产二: | 0.00 | |
| 实收资本/股本一: | 0.00 | 实收资本/股本二: | ||
| 营业收入一: | 0.00万元 | 营业收入二: | 0.00万元 | |
| 营业利润一: | 0.00万元 | 营业利润二: | 0.00万元 | |
| 净利润一: | 0.00万元 | 净利润二: | 0.00万元 |
一、交易条件
以正式信息披露内容为准。
二、公司简介
企业名称:天津滨海汇能置业有限公司
注册地(住所):天津市天津市东丽区东丽湖渡假区天津市东丽湖旅游开发总公司大楼内351-8室
法定代表人:孟铁生
成立日期:2008-09-10
注册资本:80021.00万元(人民币)
经济类型:国有控股企业
企业类型:有限责任公司
所属行业:房地产业
统一社会信用代码或组织机构代码:91120110679420780B
经营规模:大型
经营范围:房地产开发及销售;土石方工程、室内外装修装饰工程;建筑材料、五金交电、钢材批发兼零售;房产租赁;房地产相关业务咨询;建筑工程用机械专用设备制造(特种设备除外);代收水电费。(以上经营范围涉及行业许可的凭许可证件,在有效期限内经营,国家有专项专营规定的按规定办理)(依法须经批准的项目,经相关部门批准后方可开展经营活动)
导致标的企业的实际控制权发生转移:是
三、房地产开发项目
1、购地信息
2008年8月14号,天津滨海汇能投资股份有限公司以7.1亿的价格成功竞得天津东丽区东丽湖北侧地块。据悉,宗地编号为津丽(拍)2008-01号地块,位于东丽区东丽湖北侧,土地规划建筑面积305548.09平方米,土地用途为商业金融业、居住。宗地通过拍卖的形式出让,使用年限商业金融业40年、居住70年。
2、项目规划方案
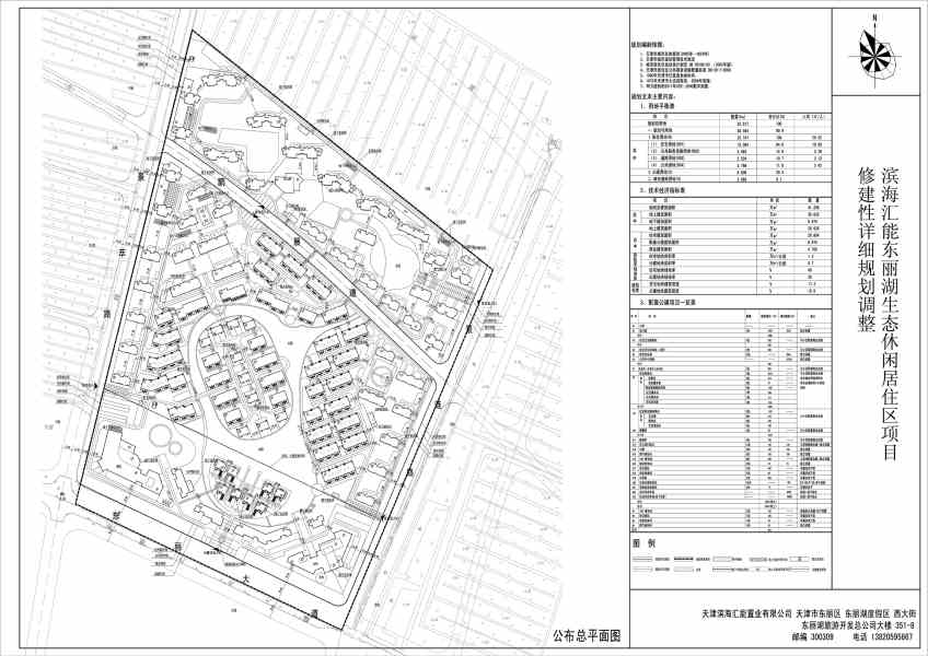
(1)滨海汇能东丽湖生态休闲居住区项目
天津市规划局东丽区规划分局于2016年10月08日审定了天津滨海汇能置业有限公司滨海汇能东丽湖生态休闲居住区项目的修建性详细规划调整方案(2011东丽规案申字0037变更),总平面图如下:

(2)汇湖轩项目
2019年6月19日,天津市规划和自然资源局公布了天津滨海汇能置业有限公司汇湖轩项目建筑设计方案总平面图:


(3)天津电力物资供应基地办公楼项目
天津市规划局东丽区规划分局于2014年08月26日审定了天津滨海汇能置业有限公司天津电力物资供应基地办公楼项目建筑方案(2014东丽建案申字0059),项目总平面图公布如下:

四、财务状况

五、股权结构

联系人:李先生 18511553039,牛先生18611017361
六、项目图片
